AKRON, Ohio — Police were asked to clear the audience from an Akron City Council meeting this week after fierce opposition to a planned housing development.
The Monday evening meeting, which was streamed online, was punctuated by out of turn remarks and signs with sayings like “protect our greenspace” and “don’t poison us.”
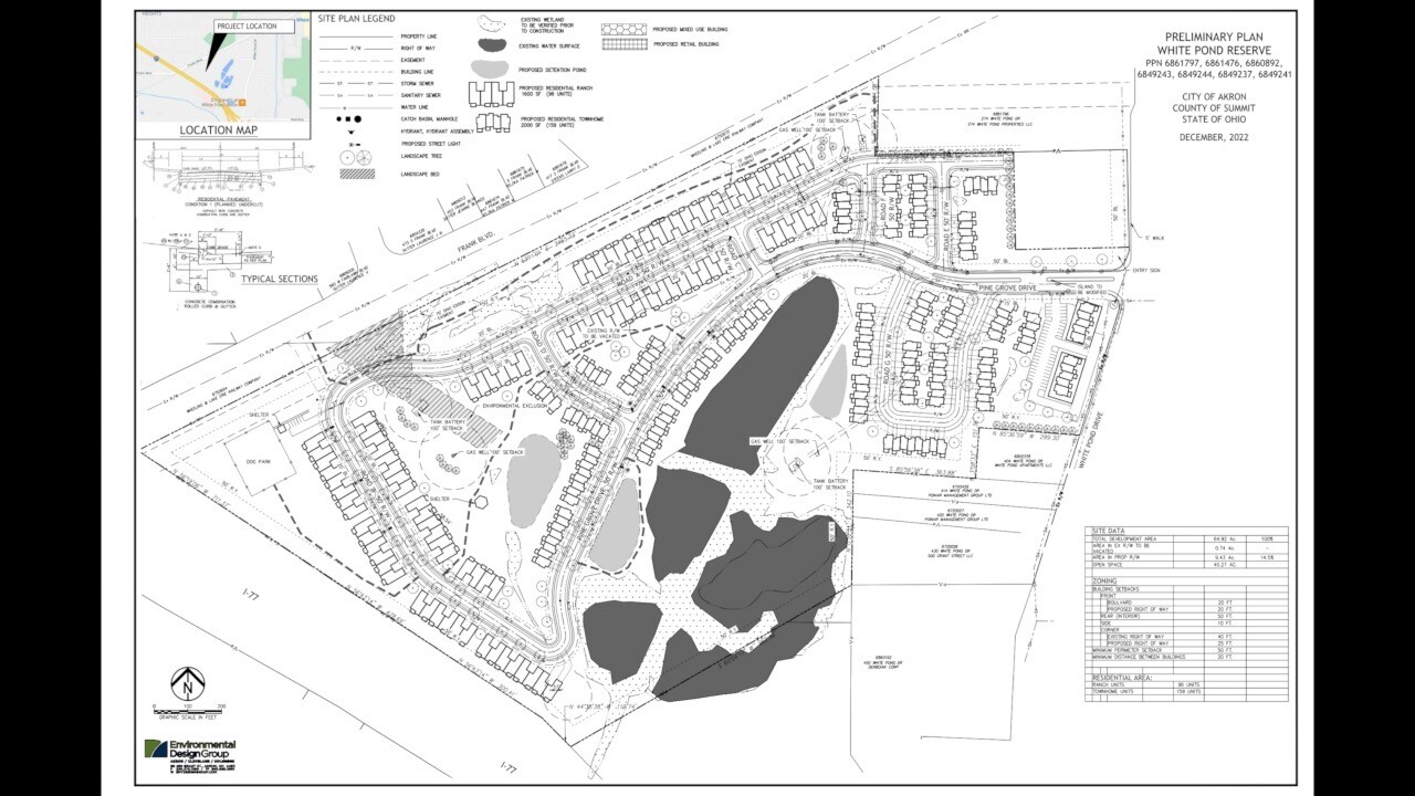
The pushback came as council members voted 7-6 to approve the sale of a 68-acre property sandwiched between I-77, White Pond Drive and Frank Boulevard. The developer, Triton Property Ventures, has proposed turning the land into a residential neighborhood with potential for eventual commercial space.

“There’s likely to be a lot of unintended consequences - some that we can predict and probably others that might be more severe that we can’t predict,” said Peter Niewiarowski.
Niewiarowski has lived nearby the White Pond land for nearly 30 years and was among the crowd escorted out of the council chambers Monday. When he first heard about the city’s intention to sell it for development, he worried about the congestion a new housing project would bring.
“There are traffic issues that are clearly going to unfold,” he said.
As a biologist, he also worried about the potential environmental impacts on the wetland and wildlife, including an endangered bat species that may or may not live there.
RELATED: Endangered species, traffic concerns could hold up Akron housing and retail project
“Little steps like this everywhere that compounded over decades means that we threatened those species. And it’s not just them. They’re part of an ecological community that makes our living possible and desirable,” he added.
Other neighbors and Akronites share similar concerns about the development.
“We should be filling in all those vacant spots that you drive by when you go through Akron,” said Meghan Lugo. “Why are we focusing on some of the remaining wetlands in Ohio?”
Neighbor Blake Traxler said, “Their maps make sense. But my feet on the ground say, ‘no.’”
The development proposal was introduced in June. After several public meetings solicited community input, the developer scaled down an original plan of five retail buildings, 50 apartments and 200 townhomes. The latest proposal includes 100 ranch-style houses and 100 townhomes. Up to 30,000-square-feet of retail or commercial space could be available if testing and studies determine the land is viable.
In a press release Tuesday, Mayor Daniel Horrigan praised City Council for approving the sale, touting up to $8.8 million of economic impact for Akron Public Schools and $200,000 to the Public Arts Council over the tax increment financing period.
“Akron has a future which can be modern, healthy, attractive, and prosperous but we must be willing to embrace good opportunities such as this one when they present themselves,” wrote Mayor Horrigan. “It's not every day we have a developer willing to take a risk of this magnitude on our city, and every time we turn that opportunity away, we send a signal to others that we don’t want that kind of investment.
Council President Margo Sommerville told News 5 the process did not engage the community as well as she had hoped, with public input collected late into the planning stages. She said ward council members and the council as a whole needs to be more proactive, but contended that the city and developer did take the feedback into account.
“It’s going to be a better and stronger project. Why? Because we did hear from the residents, we took some of their concerns,” Sommerville explained.
While many of the council members said they support the development proposal, some asked to allow more public comment before voting on the sale. The request was shot down, which persuaded some members to vote against the approval.
When the ordinance narrowly passed 7-6, some in the audience chanted, “shame, shame, shame.” Sommerville said she asked police to clear the council chambers Monday evening because project opponents were delaying the meeting.
“We don’t want to have to clear people out of the chambers. We don’t want to have to engage the police. But we can not have public meetings being disrupted,” she said.
“City council pushed us out of the people’s hall. I will never forget that moment. That was just terrible government,” said project opponent Fran Wilson. “Many people left and thought they were not able to give a public comment because of a dispersal order that was sent out. And that was just the culmination of months of problems.”
Neighbors and concerned community members are hoping for continued dialogue about the project and its impact. The city said the developer must conduct a traffic study and environmental mitigation plan, contribute $15,000 to plant trees throughout the city and comply with the Ohio EPA regulations before it can begin building.
Akron has owned the White Pond land since 2006. It will sell the property for $25,000 per developable acre, which is currently estimated at 29 acres, for a total purchase price of $725,000. If the developer does not abide by the sale contingencies, the land reverts back to city property.
RELATED: Updated plans for Akron housing and retail project in light of endangered species, traffic concerns
Watch live and local news any time:
Download the News 5 Cleveland app now for more stories from us, plus alerts on major news, the latest weather forecast, traffic information and much more. Download now on your Apple device here, and your Android device here.
You can also catch News 5 Cleveland on Roku, Apple TV, Amazon Fire TV, YouTube TV, DIRECTV NOW, Hulu Live and more. We're also on Amazon Alexa devices. Learn more about our streaming options here.